
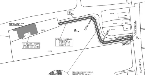
De in 2020 voltooide molen De Velmuis in Westzaan krijgt een permanente toegangsweg vanaf het Zuideinde ten zuiden van huisnummer 281. De weg is goed ingepast in het landschap en daarmee 'wordt de cultuurhistorisch waarde van de molen en de omgeving voldoende gerespecteerd,' aldus het college.
De weg loopt parallel aan de sloot en wordt niet hoger dan de hoogte van het bestaande dijkje langs de sloot. Hij volgt dan voor een deel de oude toegangsweg. Toen op 17 juli 2018 de vergunning werd aangevraagd maakte het perceel waarop de toegangswegmoet komen nog deel uit van het Natuurnetwerk Nederland, maar daar is het in juni 2024 uit verwijderd en daarmee is ook een groot obstakel weggenomen. Het verklaart wel waarom alles zo lang moest duren.

Geen van de onderzochte milieuaspecten vormt een belemmering voor het project en ook overige milieuthema’s en de aspecten parkeren en verkeer vormen geen belemmering voor het bouwplan. Buurtbewopners hebben het trecé van de weg volgens het college 'zeer positief' ontvangen. De weg wordt conform de wens van buren aangelegd met grastegels.





