
Weth ouder Sanna Munnikendam geeft morgen in R ooswijk de aftrap voor de nieuwe manier van afvalscheiding in Zaanstad, waarbij plastic, blik en drankenverpakkingen in de kliko gaan en restafval moet worden weggebracht naar ondergrondse verzamelcontainers.
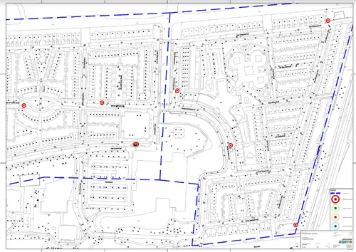
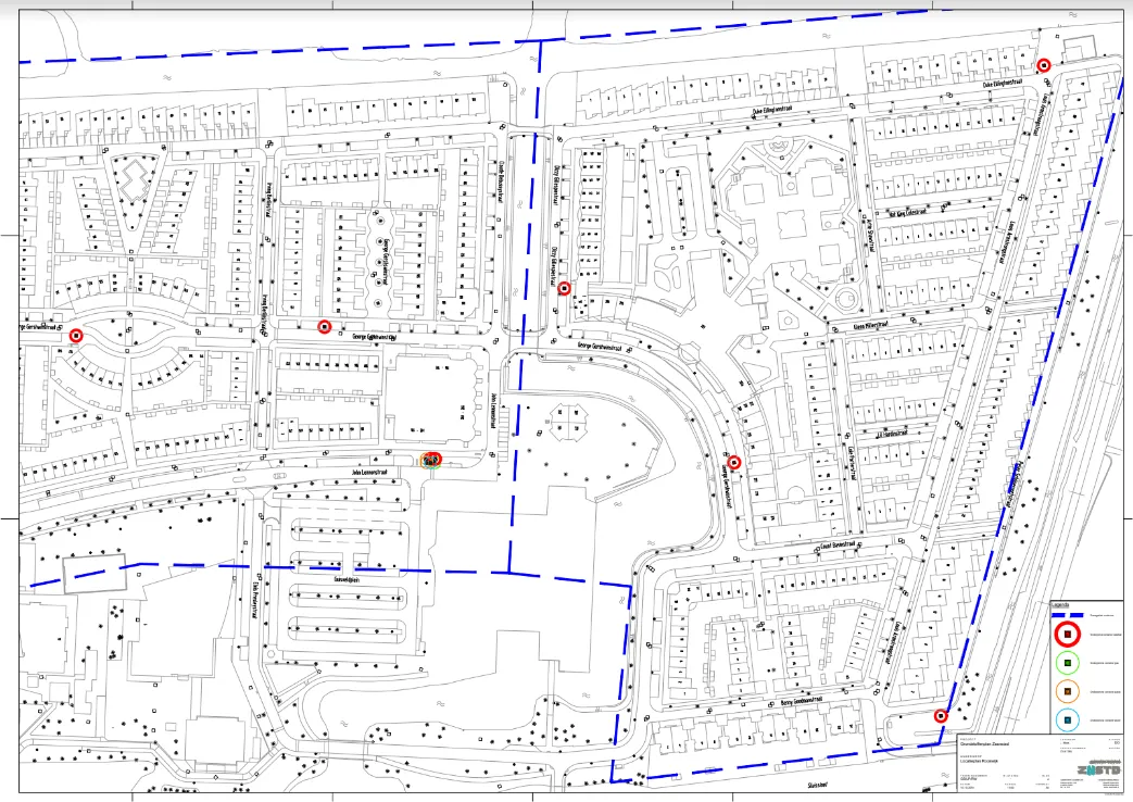
Dat gebe u rt in morgenvroeg met enig ceremonieel in de Benjamin Brittenstraat 77 in Zaandijk. Na Rooswijk staat Krommenie op de agenda, waarna stapsgewijs de hele gemeente aan de beurt komt. Inwoners van Rooswijk en Krommenie hebben inmiddels de afvalpas ontvangen die nodig is om de restafvalcontainer te openen. Dit zijn de plekken van de containers in Rooswijk:
[caption id="attachment_27261" align="alignnone" width="300"] 
[caption id="attachment_27262" align="alignnone" width="300"] 
[caption id="attachment_27260" align="alignnone" width="300"] 
De legenda is lastig te lezen, maar het gaat van boven naar beneden om het grensgebied van de containers (paarse streepjes), ondergrondse restafvalcontainers (rood), glascontainers (groen), plasticcontainers (geel) en papiercontainers (blauw).
De planning voor het buitengebied is nog niet bekendgemaakt, maar de rest van het schema ziet er aldus uit:





